Locktender’s House at Lock 11, and the Delaware Canal
Beyond the Door
31 March 2026
Locktender’s House at Lock 11, and the Delaware Canal
Locktender house at lock #11 today, Delaware Canal to the right
During a recent visit to the historic Locktender’s house, 145 South Main Street, at Lock #11 on the Delaware Canal, volunteers from the New Hope Historical Society (NHHS) met with the executive director of the Friends of the Delaware Canal (FODC), Michael Ginder. This building currently houses the offices of the FODC and an interpretive museum about the canal. In this article we will explore the history of this house as well as selected details about the history of the canal. These interviews, NHHS archives, Pennsylvania state archives, and references listed at the end of this article are the basis for the information presented here.
Archival records from NHHS state that the building was built in 1832 and owned by prominent New Hope citizen, Joshua Vansant. Upon Vansant’s death in 1834 his daughter was willed ownership. When she died the house was bequeathed to her husband, Lewis Slate Coryell. Coryell was a descendant of the Coryell family for whom New Hope and Lambertville were once named. Coryell was also an early burgess (mayor) of New Hope, and an extensive landowner in and around New Hope in the early to mid-19th century. He was an owner of other homes described in this series including the Coryell House (https://www.newhopehistorical.org/the-coryell-house-akahavana).
Locktender’s house at lock #11 house construction was completed just after the Delaware Canal commenced operations in 1832. The canal was a monumental project of the era and followed the success of the earlier Erie Canal in New York. Pennsylvanians saw the construction of the Delaware Canal as a way to get their products to population centers such as Philadelphia and New York, thus competing with the success of the Erie Canal. Coal would become the most significant product to be shipped on the Delaware Canal by tonnage. The canal was built with state funds, for approximately $1,400,000.
In 1817 an act was passed by the Pennsylvania assembly creating a commission for the improvement of navigation on Pennsylvania rivers, and eventual locktender house at lock #11 owner Lewis Slate Coryell was one of the three commission members appointed by the governor. Later he would be employed in the Delaware Canal construction in various roles, including as inspector or supervisor of mechanical work.
Canal construction was in the end heavily promoted by Philadelphia Quaker and entrepreneur, Josiah White. He and partners had purchased a 20-year lease on 10,000 acres of the Lehigh Mine Company’s coal lands near the town now called Jim Thorpe, PA. Anthracite shipped via gravity-powered cars to boats which then navigated the slack-water pooled Lehigh River and its locks to reach Easton, PA where the Lehigh River meets the Delaware River. A slack-water canal uses dams and locks to create deep, slow-moving pools to improve navigation, rather than cutting a separate artificial channel as seen with the Delaware Canal.
White worked hard to see the finalization of the construction of the Delaware Canal and its connection to the Lehigh. Once product traveled by canal to New Hope it could continue by canal down to Bristol, PA, on to the Delaware River to Philadelphia, then finally by sea to other ports. The construction of the outlet lock by 1854 in New Hope (easily seen today from the River House at Odette’s) allowed cargo to cross the Delaware River to the cross-New Jersey Delaware & Raritan Canal, thus allowing more direct access to New York markets.
The canal’s greatest success was in the decades just before and after the Civil War. Subsequent canal use was gradually replaced by rail and later motor vehicle. By 1858 canal ownership had been obtained from the state by the private Delaware Division Canal Company, which leased the canal to the Lehigh Coal and Navigation Company in 1866. Canal operations ceased in 1931, the state resumed complete official canal ownership by 1940, and a state park was created along its length.
In 1859 locktender’s house at lock #11 was purchased by the Delaware Division Canal Company from Lewis Slate Coryell for $120. For over 80 years ownership was then unchanged until the Delaware Division Canal Company sold it to a real estate company in December, 1940 for $11,075. Subsequently passing through several private owners, the Pennsylvania Commonwealth Department of Environmental Resources obtained title for $325,000 in 1993. Soon thereafter the FODC leased the building for offices, and worked jointly with DCNR to renovate it, with a grand reopening of the renovated building in 1995.
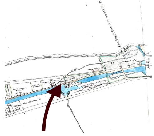
Above is detail of McNair’s 1868 survey map, locktender’s house at lock #11 marked.
Record Group 006, Department of Forests and Waters
Survey Books of the Delaware Division Canal (series RG-006-18)
Courtesy of Pennsylvania Historical and Museum Commission Pennsylvania State Archives.
Locktender’s house at lock #11 at canal edge in background,
lock #10 (since about 1960 partially paved over by Main Street)
in foreground, trolley on Main Street, about 1890s.
Locktender’s house at lock #11 at rear left, lock #10 in foreground, mules on towpath, photo undated.
The building is a 3 story plus attic stone sand plastered structure situated on the towpath with the east (street) side first floor at near street level, and the west side second floor at canal level with a main entrance on the 2nd floor. A chimney is centered in the ridge of the gabled roof.
NHHS archives contain a 1979 architectural description authored by NHHS member Ann Niessen stating “subject structure follows closely the original designs for such utilitarian structures drawn up by the Canal Engineers. Such plans are on file in the Archives of the Pennsylvania Historical and Museum Commission.” Property records show that prior to 1944 locktender’s house at lock #11 was concurrently conveyed with the home at 176 South Main Street. Lock house at lock #11 is one of 4 original canal buildings still remaining in New Hope, each with varying degrees of alteration over the years. These include lock house #10 (186 South Main Street, https://www.newhopehistorical.org/the-locktenders-houselock-10
), lock house #9 (218 Towpath), and the toll collector’s office (230 Towpath). The toll collector’s office was once the home of past NHHS president Claire Shaw. In addition, lock house #9 was once the home of past NHHS president and executive director Barry Ziff and wife Sallie, and was earlier the home Odette Myrtil, just upstream from her then business, Chez Odette, located by lock #8.
Locktender’s house at lock #11 in 1975, prior to later renovations. Note tour boat in canal.
The four locks in New Hope were originally built 11 feet wide to accommodate one boat (aka barge) at a time. By the 1840’s, with business booming, they were widened to 22 feet to handle the width of two boats at a time (lock #11 was converted in 1854).
For a century the locktenders and their families lived rent-free in this house and similar ones up and down the canal, until the closure of the canal business. Life could be hard on the canal, with boats passing almost continuously, up to 24 hours a day during the height of canal activity in the early decades.
Locktenders were mostly male, but not exclusively. When present, locktender wives frequently assisted with lock operation and the sale of homemade foods to boatmen and passengers. At about 500 feet approaching boats would often signal the locktender by blowing on a conch horn. Canal operations usually ceased from December to March. Lock #11 was once named for locktender Samuel Scheetz, and NHHS archives have several of his photographs dating to about the 1910’s. An interesting photo in the FODC interpretive museum shows a man having just one leg. The clearance of the canal boats in a lock was just 3 inches on each side and limb injuries were common according to FODC’s Michael Ginder.
Samuel Scheetz, locktender, 1911.
By 1977 NHHS records document the presence of a craft shop in the locktender’s house at lock #11. Inside the present-day house, an interpretive museum about the canal and its history is located on the second floor, divided into two rooms and maintained by the FODC. This level once served as dining and living rooms for locktender families.
A bathroom that was there in 1993 has been removed to the lower level, which is largely a storage area today but once held the family kitchen. The upper level now serves as the offices of the FODC and was once used as bedrooms.
Museum today, note locktender with injured leg, photo on the left.
A prior building that was southeast of locktender’s house at lock #11 housed the Basket Company and was gutted by fire in 1992. The FODC then contracted with artist William Selesnick to paint five separate murals of life along the canal. They were installed on the site cleared by removal of the fire-damaged structure. This art is still visible today from South Main Street. A concrete building just south of locktender’s house at lock #11 was likely built in the 1950’s, and future canal-related exhibits are planned there by the FODC. A “wicket shanty” is seen across the canal from the concrete building and contains the winch which operated the lock drop gate. And just beyond that, where the American Legion Hall stands today, was where a boat building yard was located.
The Friends of the Delaware Canal have helped preserve this locktender house over the decades. Prime FODC driving force Betty Orlemann came to Bucks County in 1977 and soon triggered the formation of the FODC. The award-winning FODC spearheaded the preservation, restoration, and interpretation of what is now called the Delaware Canal State Park. They remain involved in canal improvement projects, canal walks, lectures, clean-ups, regular meetings, and both short-term and long-term canal planning activities in conjunction with the Pennsylvania Department of Conservation and Natural Resources, now the state park owner.
Michael Ginder, executive director FODC, in museum on level 2.
Many thanks to Michael Ginder, NHHS historian Roy Ziegler, and NHHS volunteers David Newhart, Tom Williams, and Tom Lyon, who all participated in this article’s preparation.
If you own or reside in a historic property in New Hope and would be interested in having it featured in our “Beyond the Door” series, please contact us at Director@Newhopehistorical.org. A year’s free historical society membership is now offered to those who allow us to feature their property.
References:
- “Delaware Canal Journal,” C.P. “Bill” Yoder, c. 1972.
- “Guide to the Delaware Canal,” Willis R. Rivinus, c. 1964.
- “Pennsylvania’s Delaware Division Canal,” Albert G. Zimmerman, c. 2002.



